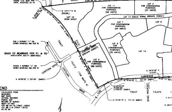
Lot 9, a topic of conversation at Goleta City Council Tuesday evening, occupies the lower left corner of the property map, as does the bridge to Cortona Drive.

The giant dirt patch at the corner of Los Carneros and the 101 southbound has been slowly turning into low-income housing in one corner and market rate homes in the others, but the amenities and affordability envisioned could be slipping from the City of Goleta’s grasp.

Developer Comstock Homes originally proposed to build 465 units, 70 of them affordable. Approval of the Village at Los Carneros project included a recreation building and a bridge over Tecolotito Creek to connect the homes to Cortona Drive. The city required Comstock to complete the affordable portion, and begin the bridge and rec area to some extent, before it would grant the building permits needed to complete the project.

Then, in June 2016, Comstock sold one of the lots — Lot 5 containing 74 units — to RTA Carneros Village. In May 2016, then-city attorney Tim Giles and City Manager Michelle Greene signed an agreement with RTA (Red Tail Acquisitions) that dissolved Red Tail’s obligation regarding the affordable housing terms, the rec building, and the bridge. The City Council takes up Comstock and Red Tail’s latest requests Tuesday evening at 6 p.m.

This time, Comstock is asking for more time to complete the 70 units of affordable housing. From the outset, Comstock took on the job of building the affordable units and also gave the entirety of Lot 1 — which those units occupy — to People’s Self-Help Housing, which will oversee management of the units. Under its current permit, Comstock must complete that housing before pulling a building permit for the 220th unit of market-rate housing. Comstock now asks Goleta to agree to change the words “building permit” to “certificate of occupancy,” in other words, to be allowed to hold off finishing the affordable units until the market-rate homes are at the end, instead of the beginning, of the building process.

At the city staff report in the agenda for the April 4 meeting, Comstock is said to be on track to finish the affordable units by December 2017 and January 2018, despite the delays from February’s rains. Certificates of occupancy are expected by the end of this summer for Comstock’s 96 active building permits on market-rate housing.

Matters are complicated by Red Tail’s purchase of Lot 9, which it bought from Comstock four months ago, in January 2017. It asks Goleta for the same exceptions granted for Lot 5 in May 2016. When the city granted those, the argument was that Red Tail should not be held to terms that were entirely within Comstock’s ability to fulfill or not. However, city staffers write in their report for Tuesday’s council item: “So long as Comstock Homes is able to sell market rate lots to other developers, [Red Tail’s] argument is something of a slippery slope.” By the time Red Tail came back for seconds, staff is saying, it was well aware of the obligations that Comstock, and presumably any developer, were bound by. Then again, the city agreed to Red Tail’s terms the first time, though the personalities at City Hall have changed considerably since last May.

What’s remarkable about the May 2016 agreement is that no record seems to exist among City Council agendas in which the council gives its support to the terms. Requests for information from the city were not answered by deadline.

As the staff report enumerates, Goleta originally had leverage to see the affordable units completed by withholding permits on 176 units. If it accedes to all the current requests, that drops to 14 units’ certificates of occupancy.

Login

Please note this login is to submit events or press releases. Use this page here to login for your Independent subscription

Not a member? Sign up here.